


Verkehrsumstellung vom 21. bis voraussichtlich 24. November 2022
Wir veröffentlichen hier die Pressemitteilung des Landesbetriebes Straßenwesen.
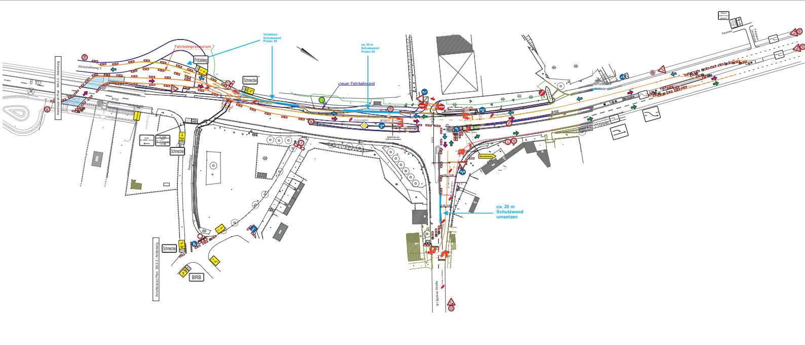
Der Ausbau der Bundesstraße B 102 zwischen dem Gewerbegebiet Schmerzke bis zum Knotenpunkt der B 102 mit der B 1 kommt gut voran. Der Fahrbahnbereich von Wust (B1) in Richtung Stadt Brandenburg (B 102) wird bis zum 21. November 2022 fertig gestellt sein, so dass die gegenüberliegende Seite erneuert und umgebaut werden kann.
Von Montag, 21. November 2022, bis voraussichtlich Donnerstag, 24. November 2022, wird die Verkehrsumstellung notwendig, um mit dem neuen Bauabschnitt im Knotenbereich beginnen zu können. In diesen vier Tagen wird es zu starken Beeinträchtigungen kommen, da sehr kleinteilig gearbeitet werden muss, um den laufenden Verkehr während der Verkehrsumstellung aufrecht zu erhalten.
Unter anderem müssen die Bauampeln zeitweise außer Betrieb genommen und umgestellt werden.
Ab Freitag, 25. November 2022, beginnen die Arbeiten im nächsten Bauabschnitt am Knotenpunkt B 1 / B 102. Geplant ist der Ausbau der Fahrbahn einschließlich der Erneuerung der Entwässerungsleitungen. In Richtung Brandenburg an der Havel kann wieder rechts abgebogen werden. Der Verkehr, von der B 1 in Richtung B 102 / A2, wird über den Knoten durch Ampeln geregelt. Der Radverkehr wird nun teilweise über kommunale Straßen geleitet. Die entsprechende Beschilderung weist den Weg.
Die Arbeiten in diesem Bauabschnitt enden voraussichtlich im März 2023.
















